Az értékesítő:
Rapcsák Attila
+36 70 946 7665

Eladó családi ház Pécs, 599 000 000 Ft, 1 800 négyzetméter

599 000 000 Ft
családi ház, 1 800 négyzetméter
Építőanyag:
Tégla
Egész szobák:
17
Fűtés módja:
Gáz
Ingatlan állapota:
Kitűnő
Azonosító:
11574248
Értékesítés típusa:
eladó
Ingatlan típusa:
családi ház
Jelleg:
Családi ház
Település:
Pécs
Alapterület:
1800
Telekterület:
1695
Ár:
599 000 000 Ft
Szintek száma:
Földszintes
Fűtés jellege:
Egyedi
Kor:
21-50 éves
Erkély:
Van
Telekterület típusa:
négyzetméter
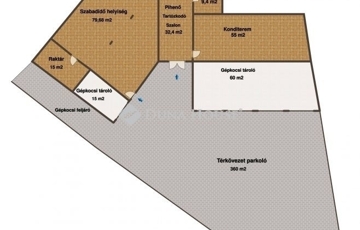
Pécs egyik legkülönlegesebb ingatlana a luxus és elegancia találkozásaEladásra kínálunk egy páratlan adottságokkal rendelkező ingatlant Pécs egyik legszebb pontján, 1695 m²-es telken, amely két főépületben, négy szinten, összesen 1727 m²-nyi exkluzív életteret foglal magába.A parkosított, közel 600 m²-es kert békéje és a Mecsekre nyíló panoráma olyan atmoszférát teremt, amely minden napot egy festménybe illő látvánnyal indít.A komplexum szíve a 71 m²-es, 7 méteres belmagasságú nappali, mely méltóságteljes tágasságával és természetes fényárjával az elegancia szimbóluma. A 16 hálószoba, 12 fürdőszoba, 3 gardrób, valamint 3 teljesen felszerelt konyha és étkező kényelmes, sokrétű használatot tesz lehetővé legyen szó családi otthonról, vagy prémium kategóriás boutique hotelről.A tökéletes kikapcsolódás helyszíne lehet a wellness részleg szaunával, vagy a fedett, 28 m²-es, panorámás medence. A sport szerelmeseit egy 55 m²-es fitneszterem várja, míg az elegáns klubhelyiség, 22 m²-es borospincével, valamint a 80 m²-es rendezvényterem összejövetelek, privát események ideális helyszíne lehet.Az ingatlan minden kényelmét biztosítja:4 saját parkoló az épület előtt,5 garázs,több mint 200 m² parkolófelület az ingatlan udvarán,mosókonyha, gépészeti terek, raktárhelyiségek,valamint 28 kW teljesítményű napelemrendszer, amely modern, energiahatékony működést garantál. Energetikai tanusítás folyamatban. A tágas, napfényes terek, a gondosan megtervezett belsőépítészeti megoldások, a prémium anyaghasználat és a megnyugtató természetközelség együttese valódi harmóniát teremt.Ez az ingatlan nem csupán egy otthon hanem életstílus. Egy különleges tér, ahol a luxus, a kényelem és a természet közelsége tökéletes egyensúlyban találkozik.Fedezze fel Pécs legexkluzívabb ingatlanát egy helyet, ahol minden nap a tökéletesség érzésével kezdődhet. Az energetikai tanúsítvány készítése folyamatban van, amint rendelkezésre áll, úgy azzal a hirdetés frissítésre kerül. Az ingatlan amit ma láttál és még hezitálsz, talán ugyan az az ingatlan, amit valaki más még ma megnéz és megvesz holnap! Ne hezitálj, keress bátran, célom, hogy mindenki rátaláljon álmai otthonára!
https://ingatlanok.hu/elado/haz/pecs/599-millio-ft;1800-negyzetmeter;17-szoba;egyedi-futes/11574248